Avis d’une demande complète et d’une réunion publique concernant une proposition de modification au règlement de zonage

ZBL-9-2025

30 décembre 2025

SOYEZ AVISÉ que le Conseil de La Corporation de la municipalité de La Nation a reçu une demande complète et tiendra une réunion publique le 26e jour du mois de janvier 2026, à 15h45, au 958 route 500 Ouest, Casselman, Ontario, Ontario, afin d’étudier une proposition de modification au Règlement de zonage nº 2-2006 de la municipalité de La Nation, filière ZBL-9-2025, en vertu de l’article 34 de la Loi sur l’aménagement du territoire, L.R.O. 1990, dans sa forme modifiée.

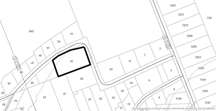
La proposition de modification au règlement de zonage affecte le terrain décrit comme partie du lot 11, concession 5, ancien Cambridge et portant le numéro civique 30 chemin Séguinbourg comme démontré sur la carte d’emplacement ci-dessous. Le site en question est désigné ‘’secteur des politiques rurales’’ au Plan officiel des Comtés unis de Prescott et Russell.

La modification au règlement de zonage propose de changer la catégorie de zonage du terrain de ‘’Zone résidentielle de faible densité (R1)’’ à ‘’Zone résidenrielle de faible densité – exception (R1-X)’’ afin de permettre l’agrandissement d’un garage existant en augmentant la superficie de plancher maximale à 3568 pieds carrés au lieu de 968 pieds carrés en incluant un appartement accessoire de 1600 pieds carrés.  Ce garage serait sur un terrain ayant une superficie totale de 2 acres.

La réunion publique sera diffusée en direct sur notre chaîne YouTube « The Nation Municipality / La municipalité de La Nation ».

Questions et commentaires soumis durant la réunion : Toute Personne peut assister à la réunion publique en personne, faire une présentation verbale ou écrite durant la réunion publique, soit en faveur ou contre la proposition.

Questions et commentaires soumis par voie électronique : Toute Personne peut également faire des observations écrites par la poste ou courriel à glafleche@nationmun.ca, en soutien ou en opposition à la demande avant 15h45, le 26 janvier 2026. Veuillez indiquer le numéro de la demande.

Si une personne ou un organisme public ne présente pas d’observations orales lors d’une réunion publique ou ne présente pas d’observations écrites au Conseil avant l’adoption de la modification au règlement de zonage qui est proposée, la personne ou l’organisme public n’a pas le droit d’interjeter appel de la décision de la Municipalité de La Nation devant le Tribunal ontarien de l’aménagement du territoire (TOAT) ou ne peut pas être joint en tant que partie à l’audition d’un appel dont est saisie le Tribunal à moins qu’il n’existe, de l’avis de cette dernière, des motifs raisonnables de le faire.

Si vous désirez être avisé(e) de la décision de Conseil à l’égard du règlement municipal de la modification de zonage proposée, vous devez présenter une demande écrite à la greffière de la Municipalité. Si applicable le propriétaire d’un terrain comptant sept unités d’habitation ou plus doit afficher cet avis à un endroit à la vue de tous les résidents.

Si applicable le propriétaire d’un terrain comptant sept unités d’habitation ou plus doit afficher cet avis à un endroit à la vue de tous les résidents.

Si vous désirez des informations supplémentaires, veuillez contacter Guylain Lafleche pendant les heures régulières de bureau soit par courriel glafleche@nationmun.ca ou au numéro de téléphone 613-764-5444 à l’extension 229.

DATÉ à la municipalité de La Nation, ce 30ième jour du mois de décembre 2025. 

Guylain Lafleche, Directeur de l’Aménagement du territoire Municipalité de La Nation

958, route 500 ouest Casselman ON K0A 1M0

CARTE D’EMPLACEMENT – 30 chemin Séguinbourg, La Nation, DOSSIER NO. ZBL-9-2025

Accessibilité :

Vous pouvez demander un format alternatif de cet avis ou demander que vos questions ou commentaires soient déposés dans un format alternatif en contactant le bureau de la Greffe à l’adresse suivante : clerk@nationmun.ca ou par téléphone au 613-764-5444.