Notice of a Complete Application and of a Public Meeting Concerning a Proposed Zoning By-Law Amendment

ZBL-9-2025

December 30, 2025

TAKE NOTICE that the Corporation of the Municipality of The Nation will hold a public meeting on January 26th, 2026, at 3:45 pm, at 958 route 500 West, Casselman, Ontario, to consider a proposed amendment to the Zoning By-law No. 2-2006 of the Municipality of The Nation, file ZBL-9-2025, under Section 34 of the Planning Act, R.S.O. 1990, as amended.

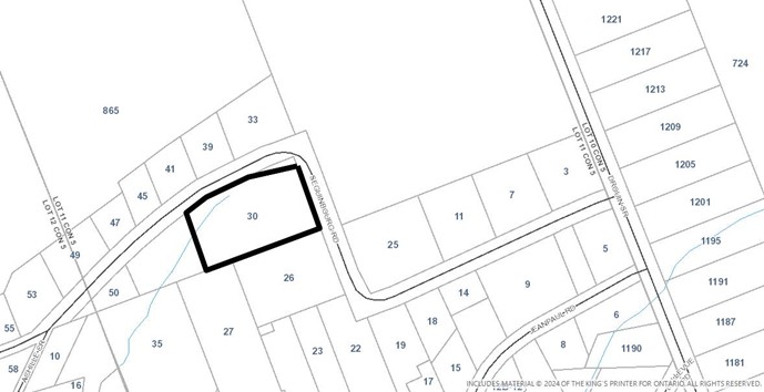
The zoning by-law amendment affects the land described as part of Lot 11, Concession 5, formerly Cambridge and bearing civic number 30 Seguinbourg Road. as shown on the Key Map below. The subject site is within the ‘’Rural Policy Area’’ of the United Counties of Prescott and Russell Official Plan (UCPR).

The zoning by-law amendment proposes to change the zoning category of the land from “Low-density residential zone (R1)” to “Low-density residential zone – exception (R1-X)” in order to allow for the expansion of an existing garage by increasing the maximum floor area to 3,568 square feet instead of 968 square feet, including a 1,600-square-foot accessory apartment.  This garage would be located on a lot with a total area of 2 acres.

The public meeting will be live streamed on our YouTube Channel « The Nation Municipality / La municipalité de La Nation ».

Questions or comments submitted during the meeting: Any person may participate in the public meeting, in person and make written or verbal representation, during the public meeting, either in support of or in opposition to the proposed.

Questions or comments submitted electronically: Any person may also make written representations by mail or email at glafleche@nationmun.ca, either in support of or in opposition to the proposed amendment before 3:45pm on January 26th, 2026. Please indicate the file number.

If a person or public body does not make oral submissions at the Public Meeting or make written submissions to Council before the zoning by-law amendment is adopted, the person or public body may not appeal or be added as a party to the hearing of an appeal before the Ontario Land Tribunal (OLT) unless, in the opinion of the Tribunal, there are reasonable grounds to add the person or public body as a party.

If you wish to be notified of the decision of the Council on the proposed zoning by-law amendment, you must make a written request to the Clerk of the Municipality.

If applicable this notice shall be posted by the owner of any land that contains seven or more residential units in a location that is visible to all the residents.

For additional information concerning this application please contact Guylain Lafleche, during regular office hours. He can be reached by email at glafleche@nationmun.ca or by phone at 613-764-5444 extension 229.

Dated at The Nation Municipality this 30th day of December 2025.

Guylain Lafleche, Director of the Planning Department

Municipality of The Nation

958 Route 500 West Casselman On. K0A 1M0

KEY MAP – 30 Seguinbourg Road, The Nation, FILE NUMBER ZBL-9-2025

Accessibility:

You may request an alternative format of this notice or request to file your questions or comments in an alternative format by contacting the Clerk’s office at clerk@nationmun.ca or by phone at 613-764-5444